I v roce 2025 zůstávají světové oceány místem, které lidstvo zná jen z nepatrného zlomku. Tři čtvrtiny mořského dna jsou stále neprozkoumané a vědci připouštějí, že se v hlubinách mohou skrývat dosud neznámé druhy i útvary, jejichž původ neumíme vysvětlit.
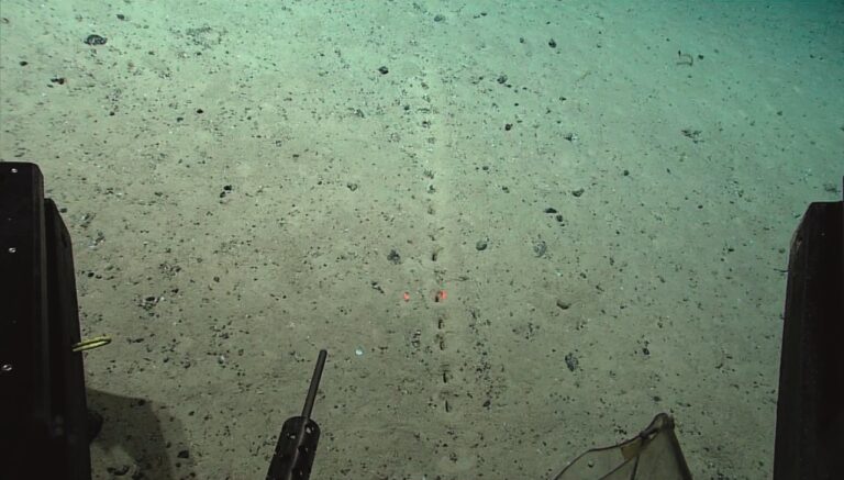
Přestože výzkumné technologie výrazně pokročily, některé objevy jsou i dnes stejně záhadné jako před desítkami let. Patří k nim i pravidelné linie děr na dně Atlantského oceánu, které na dostupných záběrech vypadají téměř nepřirozeně přesně. Co je vytváří – a proč?
Na palubě speciální průzkumné lodi Amerického Národního úřadu pro oceán a atmosféru (NOOA) panuje nezvyklé vzrušení. Právě totiž startuje dlouho očekávaná expedice Voyage to the Ridge 2022, která má za úkol prozkoumat tzv. středoatlantický hřbet.
Jde o podmořskou hranici tektonických desek, která je zároveň nejdelším horským hřbetem na světě táhnoucím se oceánem od Grónska až do jižního Atlantiku.
Staňte se naším Premium čtenářem a odemkněte si tento i tisíce dalších skvělých článků.
Navíc od nás obdržíte i celou řadu hodnotných bonusů!
Zprávu ve tvaru "CTU CLANEK" odešlete na číslo 903 33 20.



